Ben je op zoek naar jouw eerste eigen woning? Dan is deze fraaie en goed onderhouden tussenwoning een bezichtiging waard! Deze instapklare starterswoning beschikt over een stenen berging met overkapping en is gelegen in de groene en kindvriendelijke woonwijk "Padbroek", op korte afstand van alle dagelijkse voorzieningen. Een complete, moderne starterswoning op een fijne locatie!
Indeling:
Begane grond: hal met meterkast en toiletruimte voorzien van toilet en fonteintje. Zeer ruime en lichte woonkamer, aan de achterzijde bevindt zich de eetkamer met zicht op de achtertuin, halfopen keuken voorzien van diverse inbouwapparatuur.
1e verdieping: overloop met de opstelling…
Ben je op zoek naar jouw eerste eigen woning? Dan is deze fraaie en goed onderhouden tussenwoning een bezichtiging waard! Deze instapklare starterswoning beschikt over een stenen berging met overkapping en is gelegen in de groene en kindvriendelijke woonwijk "Padbroek", op korte afstand van alle dagelijkse voorzieningen. Een complete, moderne starterswoning op een fijne locatie!
Indeling:
Begane grond: hal met meterkast en toiletruimte voorzien van toilet en fonteintje. Zeer ruime en lichte woonkamer, aan de achterzijde bevindt zich de eetkamer met zicht op de achtertuin, halfopen keuken voorzien van diverse inbouwapparatuur.
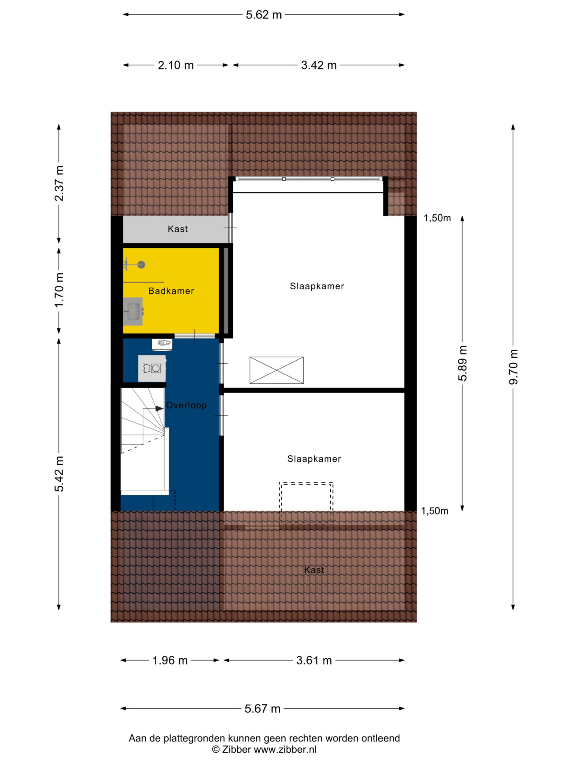
1e verdieping: overloop met de opstelling van de cv-ketel en de aansluitingen t.b.v. het witgoed. Twee slaapkamers, waarvan 1 beschikt over een dakkapel, moderne badkamer voorzien van een wastafel met meubel en inloopdouche.
Diverse gegevens:
De keukenopstelling is voorzien van een inductiekookplaat, afzuigkap, oven en vaatwasser.
De cv-ketel is van het merk Vaillant, bouwjaar 2008.
De woonwijk "Padbroek" is een groene en kindvriendelijke woonwijk met speeltuintjes/ faciliteiten voor kinderen. Gelegen op loopafstand van vele voorzieningen, waaronder bossen, winkels, het centrum en de basisschool.
De autosnelweg A73 richting Nijmegen-Venlo is op enkele autominuten gelegen, het NS-station ligt op fietsafstand.
Belangrijkste vaste lasten:
(volgens opgave huidige gebruiker)
Onroerendezaakbelasting: € 251,00 per jaar
Rioolrecht: € 262,44 per jaar
Afvalstoffenheffing: € 261,00 per jaar
Waterschapslasten: € 297,00 per jaar
Toon meer
Toon minder