Fraai gelegen geschakelde woning met een inpandige garage, aan een rustige weg in een woonwijk met veel groen. Een perfect onderhouden starters-/ gezinswoning die modern is ingericht en afgewerkt. Op korte (loop)afstand gelegen van de basisschool en het groenrijke buitengebied.
Indeling:
Begane grond: hal met meterkast. Royale woonkamer met aan de voor- en achterzijde veel natuurlijk lichtinval. Een portaal met toiletruimte en verder de trapopgang naar de 1e verdieping. De halfopen keuken biedt een compleet ingerichte en lichte keukeninrichting met aansluitend de zeer praktische bijkeuken met de aansluitingen t.b.v. het witgoed, de cv-ketel opstelling en met toegang tot…
Fraai gelegen geschakelde woning met een inpandige garage, aan een rustige weg in een woonwijk met veel groen. Een perfect onderhouden starters-/ gezinswoning die modern is ingericht en afgewerkt. Op korte (loop)afstand gelegen van de basisschool en het groenrijke buitengebied.
Indeling:
Begane grond: hal met meterkast. Royale woonkamer met aan de voor- en achterzijde veel natuurlijk lichtinval. Een portaal met toiletruimte en verder de trapopgang naar de 1e verdieping. De halfopen keuken biedt een compleet ingerichte en lichte keukeninrichting met aansluitend de zeer praktische bijkeuken met de aansluitingen t.b.v. het witgoed, de cv-ketel opstelling en met toegang tot de inpandige berging/ garage.
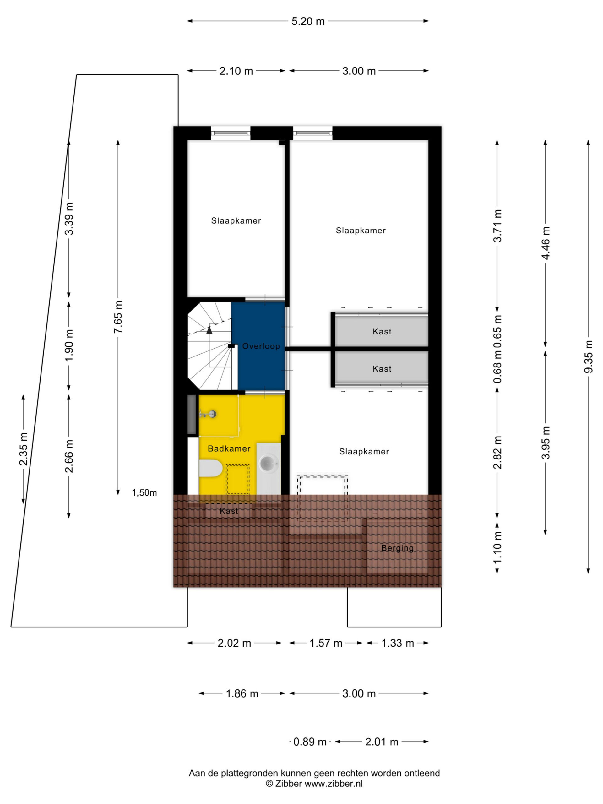
1e verdieping: overloop, 3 slaapkamers voorzien van laminaatvloer, waarvan 2 slaapkamers zijn voorzien van een schuifkastenwand. Modern ingerichte badkamer (vernieuwd in 2021) voorzien van een inloopdouche, designradiator, wandcloset en wastafel met meubel.
2e verdieping: via een vaste trap bereikbare verdieping met portaal met toegang tot een zeer riante 4e slaapkamer met zowel een dakkapel aan de voor- als achterzijde.
Diverse gegevens:
De keukenopstelling is voorzien van een koelkast, vaatwasser, oven, inductiekookplaat en afzuigkap.
De nieuwe HR-combiketel is van het merk Nefit, bouwjaar 2024.
De ouderslaapkamer is voorzien van airconditioning.
De platte daken zijn onlangs geïsoleerd.
Op een zeer rustige en kindvriendelijke woonlocatie gelegen, het NS-station is op fietsafstand gelegen en ook de autosnelweg A73 is uitstekend bereikbaar.
Belangrijkste vaste lasten:
(volgens opgave huidige gebruiker)
Onroerendezaakbelasting: € 338,45 per jaar
Rioolrecht: € 262,44 per jaar
Afvalstoffenheffing: € 261,00 per jaar
Waterschapslasten: € 362,99 per jaar
Toon meer
Toon minder